Trang chủ / Nhà đất cho thuê / Cho thuê kho, xưởng

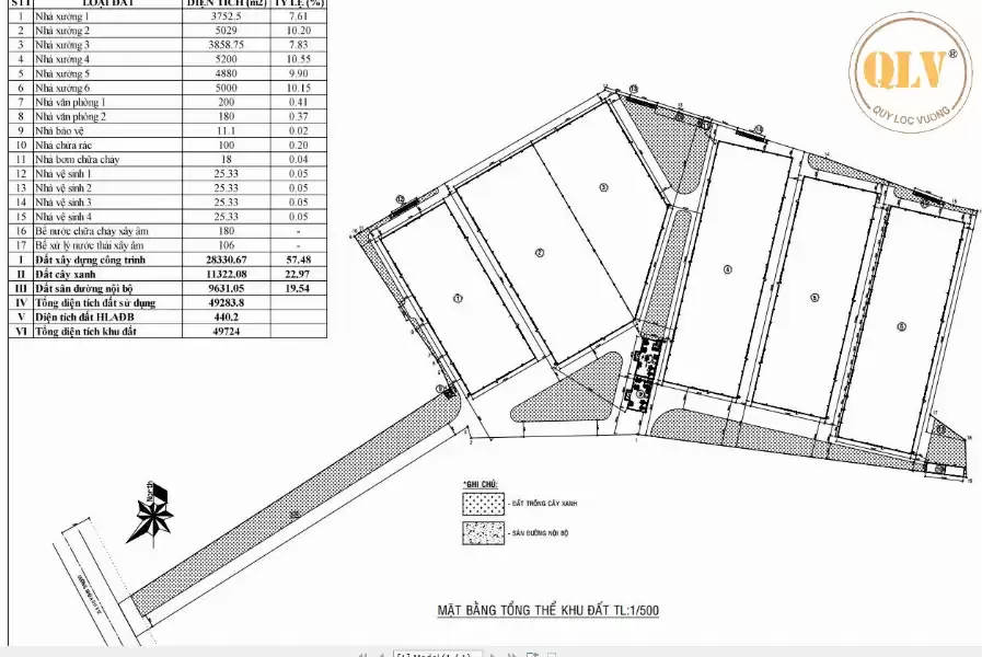
Cho thuê nhà xưởng Vĩnh Hòa, Phú Giáo, Bình Dương 28.330m²

Cho thuê nhà xưởng – Vĩnh Hòa, Phú Giáo, Bình Dương – 28.330m²
Thông tin chi tiết
Vị trí: Xã Vĩnh Hòa, huyện Phú Giáo, tỉnh Bình Dương
Tổng diện tích khuôn viên: 49.724m²
Diện tích xây dựng nhà xưởng: 28.330m²
Trong đó
Gồm 06 nhà xưởng và 02 khối văn phòng
Diện tích từng nhà xưởng
Xưởng 1 (X1): 3.752m²
Xưởng 2 (X2): 5.029m²
Xưởng 3 (X3): 3.858m²
Xưởng 4 (X4): 5.200m²
Xưởng 5 (X5): 4.880m²
Xưởng 6 (X6): 5.000m²
Khối văn phòng
Văn phòng 1: 200m²
Văn phòng 2: 180m²
Tiện ích & đặc điểm
Nhà xưởng đang xây dựng, thiết kế mới, hiện đại
Diện tích xưởng đa dạng, phù hợp nhiều ngành nghề sản xuất
Hạ tầng điện, nước, PCCC được đầu tư theo tiêu chuẩn
Sân bãi rộng rãi, xe tải và container ra vào thuận tiện
Vị trí Vĩnh Hòa, Phú Giáo, dễ kết nối các tuyến giao thông khu vực Bình Dương
Liên hệ
CÔNG TY TNHH MTV QUÝ LỘC VƯỢNG
Hotline: 0931 769 444
Website: https://nhaxuongchinhchu.vn
 phú giáo, bình dương
Giá: 2.21 tỷ - 0.078tr / m2
Diện tích: 28330 m2

Cho thuê nhà xưởng Vĩnh Hòa, Phú Giáo, Bình Dương 28.330m²
Cho thuê nhà xưởng Vĩnh Hòa, Phú Giáo, Bình Dương 28.330m²
Cho thuê nhà xưởng Vĩnh Hòa, Phú Giáo, Bình Dương 28.330m²
Cho thuê nhà xưởng Vĩnh Hòa, Phú Giáo, Bình Dương 28.330m²
Cho thuê nhà xưởng Vĩnh Hòa, Phú Giáo, Bình Dương 28.330m²
Cho thuê nhà xưởng Vĩnh Hòa, Phú Giáo, Bình Dương 28.330m²
Cho thuê nhà xưởng Vĩnh Hòa, Phú Giáo, Bình Dương 28.330m²
Cho thuê nhà xưởng Vĩnh Hòa, Phú Giáo, Bình Dương 28.330m²
Các thông tin khác
Mã tin:
110173
Hướng:
-
Đường rộng:
0m
Chiều ngang:
0m
Chiều dài:
0m
Pháp lý:
Sổ hồng/sổ đỏ
Số tầng:
0
Phòng ngủ:
0
Số wc:
0
Lưu ý:
Các bạn đang xem tin đăng trong mục "Nhà đất cho thuê, Cho thuê kho, xưởng Phú Giáo, Bình Dương". Các tin rao vặt là do người đăng tin đăng tải toàn bộ thông tin. Chúng tôi hoàn toàn không chịu trách nhiệm về bất cứ thông tin nào liên quan tới các thông tin này. Chúng tôi luôn cố gắng để đưa các tin tức nhanh và chính xác nhất cho các bạn.
Saotho.net

Mua bán nhà đất

KĐT Tài Tâm - Thanh Châu - Phủ Lý - Hà Nam

Bất Động Sản Việt cung cấp thông tin bất động sản, nhà đất cần bán, cần mua, thông tin các dự án mới nhất. Hỗ trợ tư vấn miễn phí bất động sản tận tâm chính xác.
Chúng tôi luôn mong muốn được hợp tác cùng phát triển với các tổ chức và cá nhân trong lĩnh vực Bất Động Sản trên toàn quốc để cùng hoạt động và tạo doanh thu.

DMCA.com Protection Status Protected by Copyscape

Phone
Hotline
0989.525.855
phản hồi

Design by bdsviet.net

CopyRight @2022 - Thuộc về bdsviet.net

Kết nối với chúng tôi face you zalo